Day 101 - Snapper Rocks
Snapper RocksMonday, 29 April 2013
Went for an early morning kayak. Last one in Shark Bay as I leave tomorrow and I need to dry the kayak today. Decided to go to the seagrass meadows opposite Snapper Bay where I had seen the dugongs last week.
Only a slight breeze and peaceful as I was there before the fishing boats. I just let the kayak drift as I looked for marine life. Peace was shattered for a short while as a boat approached but he eventually anchored on the other side of the bay. I kept drifting and eventually I saw a Green Turtle surface a few metres away. The turtle dived down and came back up and then down again. A few minutes later the turtle surfaced near my kayak saw me and dived again, never to be seen again.
Waited around but no more sitings so paddled back to camp for a late breakfast with Tuka. Did some reading and walking with Tuka.
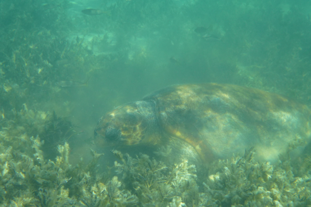
As little wind i decided to go for a snorkel in the seagrass meadows near the camp. I saw plenty of little fish, seagrass in execellent condition and other seagrass that was basically destroyed. Then i came upon this large hump and realised it was the back of a large turtle. It was about a metre long and nearly as wide. When I swam around to its front I could see it was lying on the seafloor. It had a big head and was munching on shells and i don't know what else. There was dust and grit in water around it as well as small fish probably eating the debris. It ignored me but I had trouble trying not get too close as the water was only about 1.5metres deep and I certainly didn't want him munching on my foot! I think it was a Loggerhead Turtle but will check at the DEC office in Carnarvon.
![]() | Green turtle diving underwater [Map] | ![]() | Healthy seeagrass [Map] |
![]() | Back of the turtle [Map] | ![]() | Looks like a rock [Map] |
![]() | The head & neck of the turtle [Map] | ![]() | The feeding turtle [Map] |






No comments:
Post a Comment